O PREFEITO DO MUNICÍPIO DE NOVA VENÉCIA-ES, no uso de suas atribuições legais conferidas pelo art. 44 da Lei Orgânica do Município, faço saber que a Câmara Municipal de Nova Venécia-ES aprovou e eu sanciono a seguinte lei:
Art. 1º Fica o Município de Nova Venécia-ES
autorizado a desafetar a área
atualmente vinculada à finalidade pública original e a doar, observados
os procedimentos administrativos previstos na legislação vigente, ao Estado do
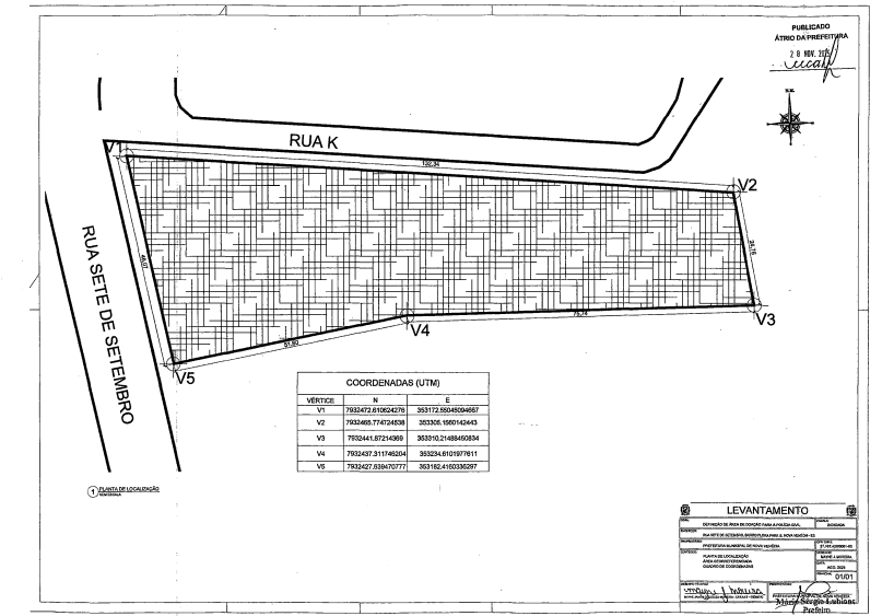
Espírito Santo, por intermédio da Polícia Civil, a fração de 4.154m² (quatro mil, cento e cinquenta
e quatro metros quadrados) do imóvel registrado sob a matrícula nº 16.658, do
Cartório de Registro de Imóveis da Comarca de Nova Venécia-ES, situada na Rua
Sete de Setembro, Bairro Flora Park II, neste município, conforme planta e
memorial descritivo constantes do Anexo I desta lei.
Parágrafo único. O imóvel objeto desta doação será destinado exclusivamente à construção e ao funcionamento de Delegacia de Polícia Civil.
Art. 2º A doação será formalizada por escritura pública, com cláusula de reversão, retornando o imóvel ao patrimônio do Município de Nova Venécia-ES, independentemente de notificação judicial ou extrajudicial, caso:
I - não seja iniciada a construção da delegacia no prazo máximo
de três anos, contados da lavratura da escritura pública de doação;
II - seja dada ao imóvel destinação diversa da prevista no
parágrafo único do art. 1º desta lei; ou
III - cesse o uso do imóvel para a finalidade de funcionamento da delegacia.
Art. 3º Todas as despesas com a lavratura da escritura e registro serão de responsabilidade do donatário.
Art. 4º Fica o Poder Executivo autorizado a adotar as medidas administrativas necessárias à efetivação da doação e à fiscalização do cumprimento da presente lei.
Art. 5º Esta lei entra em vigor na data de sua publicação.
Nova Venécia, Estado do Espírito Santo, em 28 de novembro de 2025; 71º de
Emancipação Política; 18ª Legislatura.
Este texto não substitui o original publicado e arquivado na Prefeitura Municipal de Nova Venécia.
